|
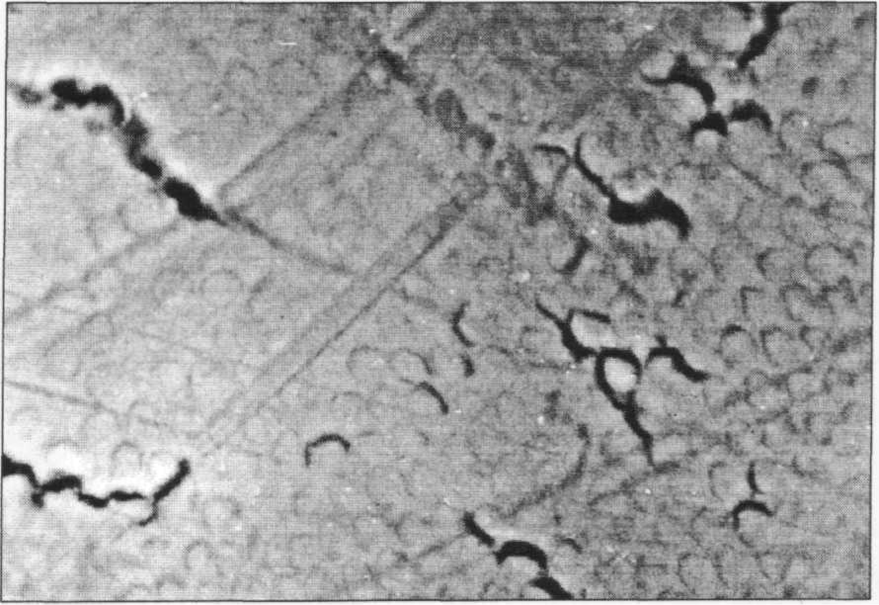
Это касается эмали, располагающейся под зубным камнем. В пришеечной области об и наруживается усиление линии Ретциуса и шлиф зуба. Более четкий рисунок призм на этом участке свидетельствует о пониженной минерализации, а, следовательно, о появлении или сохранении зон, отличающихся пористостью. Кроме описанных возрастных особенностей, специфические преобразования происходят в области фиссур премоляров и моляров. Нередко наблюдается их спонтанное запечатывание естественным путем. В таких случаях в фиссурах обнаруживаются плотные высокоминерализованные образования. В группе старшего возрастного периода (45-70 лет) отмечается дальнейшее повышение однородности эмали зубов с сохранением призменной структуры во всех слоях, кроме поверхностного, где на большей части она беспризменная. Полосы Гунтера-Шрегера контрастны, линии Ретциуса, напротив, выделяются слабо. Уменьшение объема органического компонента эмали, размеров микропространств приводит к снижению количества воды в твердых тканях зуба. Отмечается уплотнение кристаллической решетки — за счет замещения ионов ОН на F. Поверхностный слой эмали зрелых и «старых зубов», как правило, становится беспризменным на десятки мкм. Зубы отличаются значительной стертостью бугров и режущего края. Площадь стертости с возрастом увеличивается. В сканирующем электронном микроскопе видны отдельные призменные участки поверхности эмали, маскирующиеся пелликулой, причем головки призм выступают над ее уровнем. На поверхности интактной эмали выявляется значительное число царапин, борозд, трещин (рис. 105).
Полосы и царапины идут на зубе в различных направлениях. Мелки трещины огибают головки призм, крупные чаще располагаются на вестибулярной поверхности параллельно вертикальной оси зуба. Как правило, они заполнены гравиеподрбными отложениями, аморфным веществом. В поверхностном слое эмали образуются трещины, микродефекты, п`ризмы слабо конту- рируют (рис. 106).
В результате старения дентина также имеют место определенные изменения: отложение вторичного дентина, склероз (минерализация) дентинных канальцев (рис. 107).
В зрелых зубах около 30% трубочек закрыты минерализованным веществом. Текстурограмма выявляет кальцийсодержащие аморфные и кристаллические элементы. Отдельные трубочки минерализованы настолько, что структура обтурирующего их субстата/ не отличается от основного вещества дедина (см. рис. 100). Отложение новых слоев дентина, сокращающих объем пульпы, происходит непрерывно в течение всей жизни (рис. 108 а, б). Процесс становится более интенсивным, когда зуб в результате функционирования стирается, обнажая дентин.
При повреждении пульпы в результате кариеса или оперативных процедур некоторые одонтобласты гибнут, и образовавшийся после этого вторичный дентин менее регулярен. Это и есть репаративный дентин. Формирование репаративного дентина создает эффективный механизм для защиты пульпы от болезненных процессов. Он более аморфен, менее канализирован и менее правилен по форме, чем первичный дентин и поэтому носит название — иррегулярный. При хроническом воспалении пульпы, в особенности в зубе с больным пародонтом, в канале корня в большом количестве образуется репаративный дентин. В обоих случаях канал корня чрезвычайно сужен и почти полностью облитерирован, что затрудняет эндодонтические манипуляции. Особенности структуры твердых тканей зуба и пульпы формируют его оптические свойства, существенно изменяющиеся с возрастом. Последний фактор необходимо учитывать при определении и воспроизведении оттенков цвета при выполнении реставрации. |
ВОЗРАСТНЫЕ ИЗМЕНЕНИЯ СТРУКТУРЫ
|
ВОЗРАСТНЫЕ ИЗМЕНЕНИЯ СТРУКТУРЫ Для твердых тканей зуба свойственны различные индивидуальные вариации тонких структур, однако существует ряд общих возрастных особенностей. Так, в эмали детских зубов легко обнаруживаются расширенные межпризменные пространства, высокая контрастность линий Ретциуса, микрощели, микропоры (рис. 103).
Рис. 103.Головки и тела эмалевых призм. СЭМ. Ув. 1000 Для зубов лиц старших возрастных групп более характерна гомогенизация структур (снижение микропористости), протекающая на различных системных уровнях. Близкая к незрелой эмаль дольше сохраняется в пришеечной области и на проксимальных поверхностях. На шлифах эмали зрелых зубов призмы различаются достаточно четко, имея на поперечном срезе аркадообразую, округлую форму или вид замочной скважины, описанный многими авторами. На продольных шлифах тела и отростки призм формируют широкие и узкие полоски. Они определяются на большей части шлифа, заканчиваясь на поверхности или в подповерхностном слое с узкой беспризменной полоской эмали по периферии. В отличие от детских зубов ближе к поверхности призмы менее контрастны, что объясняется исчезновением ультрамикропор. Крупные микропоры и микрощели встречаются редко. Линии Ретциуса выглядят иначе, чем на эмали незрелых зубов — как «перехваты» или ступени — и значительно менее контрастны (рис. 104).
Последнее обстоятельство связано с повышением оптической плотности их границ за счет возрастной минерализации ткани и закрытия микропор, образующих линии Ретциуса. По своим свойствам данные участки становятся похожи на основную массу эмали. Четко определяются полосы Шрегера. Регулярность их строения объясняется равномерной минерализованностью пучков призм на всей их протяженности. Лишь в отдельных случаях на зрелых зубаХ сохраняются участки пористых структур. |





